PSIDIUM BASANTHUM

 

FAMÍLIA DAS MYRTACEAE

 

AGRADECEMOS SUA VISITA E DESEJAMOS QUE AS INFORMAÇÕES LHE SEJAM ÚTEIS PARA AJUDAR A PRESEVAR NOSSA FLORA E MELHORAR A QUALIDADE DE VIDA. MAS GOSTARIA DE LEMBRAR QUE MUITO TRABALHO, PESQUISAS E CUSTOS ESTÃO ENVOLVIDOS PARA PODER DISPONIBILIZAR INFORMAÇÕES GRATUITAMENTE. DESSA FORMA APRECIAREMOS SUA COLABORAÇÃO EM ADQUIRIR OS GUIAS FRUTAS DO MATO OU O LIVRO COLECINANDO FRUTAS V. 2 PARA AJUDAR A MANTER O PROJETO, OU TAMBÉM ACEITAMOS DOAÇÕES QUE PODERÁ NOS ESCREVER SOBRE NO E-MAIL QUE ESTÁ NO FINAL DESSA PAGINA.  

 

 

 

 

PLANTA

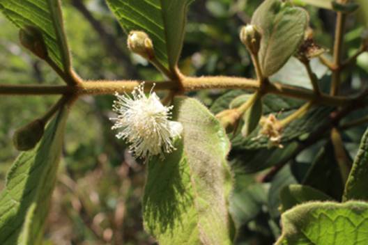
FLORES

 FRUTOS

FRUTOS VERDOLENGOS 

 

 

NOME INDIGENA: ARAÇÁ PILOSO DO CERRADO

 

Origem: É uma espécie rara, descrita para o cerrado dos estados de Minas Gerais e Goiás, mais encontrei a espécie também no cerrado do estado de São Paulo, Brasil. Mais informações no link: http://servicos.jbrj.gov.br/flora/search/Psidium_basanthum

 

OBSERVAÇÕES: A espécie rara que foi descoberta em nossas expedições em 2.017. A planta está se desenvolvendo bem, mais lentamente aqui no sitio frutas raras!

 

 

PAGINA EM CONSTRUÇÂO

 

Características: arbusto com folhas e ramos pilosos, e as folhas tem disposição verticilada (três folhas, ou 1 folha acima de um par de folhas). A planta pode ser cultivada da mesma forma que o Araçá catuba (Psidium grandifolium).

 

Dicas para cultivo: Pode ser plantada em solos bem drenados. É resistente a seca e a baixas temperaturas

 

Mudas: 

 

Plantando: 

 

Cultivando: Pode ser cultivada em vasos grandes.

 

Usos: Frutifica nos meses de fevereiro a março. Os frutos podem ser consumidos in natura, e também servem para fazer sucos e sorvetes. As flores tem grande potencial apícola.

 

 

Consulte-nos pelo e-mail hnjosue1980@gmail.com ou veja nosso catalogo de mudas disponíveis clicando aqui.  acompanhe-nos no Facebook 

 

Voltar para Frutas do Mato ou Família das Myrtaceas

 

.