POUTERIA RETICULATA

 

FAMILIA DAS SAPOTACEAE

 

AGRADECEMOS SUA VISITA E DESEJAMOS QUE AS INFORMAÇÕES LHE SEJAM ÚTEIS PARA AJUDAR A PRESEVAR NOSSA FLORA E MELHORAR A QUALIDADE DE VIDA. MAS GOSTARIA DE LEMBRAR QUE MUITO TRABALHO, PESQUISAS E CUSTOS ESTÃO ENVOLVIDOS PARA PODER DISPONIBILIZAR INFORMAÇÕES GRATUITAMENTE. DESSA FORMA APRECIAREMOS SUA COLABORAÇÃO EM ADQUIRIR OS GUIAS FRUTAS DO MATO  OU O LIVRO COLECINANDO FRUTAS V. 2 PARA AJUDAR A MANTER O PROJETO, OU TAMBÉM ACEITAMOS DOAÇÕES QUE PODERÁ NOS ESCREVER SOBRE NO E-MAIL QUE ESTÁ NO FINAL DESSA PAGINA.  

 

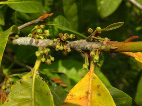
FLORES

                                FRUTO MADURO

                                           FRUTOS

FRUTO E SEMENTE

 

NOMENCLATURA E SIGNIFICADO: CURRIOLA-MIRIM vem do Tupi, e significa ”Fruta que deixa escorrer leite” e o adjetivo MIRIM quer dizer pequeno. Também é chamada de Fruta-bolacha-recheada (Por causa do sabor e textura semelhante a bolacha de baunilha), Abionana-preta, Guapeva-mirim, Fruta de Pacú e Pau-pereira.

 

Origem: Esta espécie tem vasta distribuição, porém sua ocorrência é bem descontinuada, nos biomas do Carrasco, Cerrado (lato sensu), Floresta Ciliar ou Galeria, Floresta Estacional Decidual, Floresta Estacional Semidecidual, Floresta Ombrófila (= Floresta Pluvial), Vegetação Sobre Afloramentos Rochosos. Pode ser encontrada nos estados: Acre, Amazonas, Amapá, Pará, Tocantins, Alagoas, Bahia, Ceará, Maranhão, Pernambuco, Piauí, Rio Grande do Norte, Mato Grosso do Sul, Espírito Santo, Minas Gerais, Rio de Janeiro e São Paulo, Brasil. Mais informações no link: http://servicos.jbrj.gov.br/flora/search/Pouteria_reticulata

 

Características: Árvore direita de 5 a 18 m de altura, quando cultivada não passa de 6 metros. Quando adulta tem tronco com casca grossa e fendilhada de com acinzentada. Os ramos jovens são pilosos, ramos adultos acinzentados e glabros, lenticelas ausentes (sem grandulas). As folhas estão em longos internós, espiraladas; sob pecíolo de 1-2 cm compr., pouco canaliculado, glabro; a lâmina é cartáceas (como carulina), oblanceolada ou elíptica, (6,6-) 7,7-12 cm compr. × (1,8-)2,7-4,5 (-5,5) cm larg., base assimétrica, ápice atenuado ou acuminado, face adaxial e abaxial glabras. Essa espécie pode ser facilmente identificada por se observar as nervuras secundárias e terciarias que são densamente reticuladas (forma de rede) em ambas as faces da folha. As inflorescência nascem acima das axilas das folhas com 3-20 flores que são monoclinas, alvo-esverdeadas ou amareladas, com aroma adocicado; sob pedicelo (haste ou suporte de 2 a 10 mm comprimento de superfície pilosa. O fruto é arredondado e mede 1,5 a 4 centímetros com casca fina amarelada e polpa farinácea igual bolacha, envolvendo 1 ou 2 sementes redondas lisas, lustrosas com cicatriz curta de 2 a 10 mm de largura.

 

Dicas para cultivo: Planta de crescimento lento na faze juvenil, que aprecia qualquer tipo de solo com alguma textura arenosa, podendo ser fracos ou com boa fertilidade natural, que sejam profundos e de rápida drenagem da água das chuvas, suportando até solos argilosos e mal drenados. Pode ser cultivada em todo o Brasil, em qualquer altitude; pois é extremamente adaptável a secas prolongadas e a geadas leves de até - 3 grau. Recomendo que seja plantado em beira de rio e de lagos. A planta frutifica abundantemente em pleno sol, mais não deve faltar água na época da florada e formação dos frutos. Começa a frutificar com 4 a 5 anos a depender do clima e tratos culturais.

 

Mudas: As sementes são redondas com casca clara e lisa e com cicatriz, medindo 1 cm de comprimento por 1 cm de largura. São recalcitrantes (perdem o poder germinativo se forem secadas), por isso devem ser plantadas logo que despolpadas, colocando 1 semente por embalagem individual contendo substrato de 40% de terra vermelha, 30% de matéria orgânica e 30% de areia branca. A germinação se inicia com 40 a 60 e tem percentual médio de 90% para sementes frescas. As mudas devem ser formadas em pleno sol e atingem 35 cm com 10 meses de vida.

 

Plantando: Recomendo que seja plantada a pleno sol num espaçamento 5 x 5 (em climas subtropicais) ou 7 x 7 m (em climas tropicais) em covas abertas com no mínimo 2 meses antes do plantio, estas devem ter 50 cm nas 3 dimensões e convém misturar 2 pás de areia de rio + 6 pás de matéria orgânica aos 30 cm de terra da superfície da cova; misturando junto + 500 g de calcário e 1 kg de cinzas de madeira. A melhor época de plantio é outubro a novembro, convém irrigar 10 l de água após o plantio e a cada 15 dias se não chover, tomando esse cuidado nos primeiros 6 meses após o plantio.

 

Cultivando: A planta cresce lentamente nos primeiros 2 anos após o plantio e não necessita de cuidados especiais, apenas deve-se cobrir a superfície com capim cortado e eliminar qualquer erva daninha que possa sufocar a planta. Deve-se fazer podas no fim do inverno, visando a formação da planta, eliminando ramos e brotos da base e todo o excesso de ramos que nascerem voltados para o interior da copa. Adubar com 3 pás de composto orgânico feito de esterco de galinha curtido e 30 gramas de NPK 10-10-10, dobrando a quantidade até o quarto ano, depois é só manter consecutivamente. Distribuir os nutrientes à 5 cm superficialmente a 20 cm do caule no inicio do mês de agosto ou setembro.

 

Usos: Frutifica nos meses de fevereiro a abril. Os frutos são deliciosos para consumo in natura pois tem sabor que lembra muito a bolacha doce recheada sabor baunilha. O fruto pode ser despolpado e a polpa utilizada para fazer sorvetes, sucos, doces, recheios de bolo ou bolachas etc... A árvore não deve faltar no pomar de um colecionador de frutas e em projetos de reflorestamentos, pois seus frutos alimentam diversas espécies de animais e pássaros.

 

Consulte-nos pelo e-mail hnjosue1980@gmail.com ou veja nosso catalogo de mudas disponíveis clicando aqui.  acompanhe-nos no Facebook 

 

Voltar para Frutas do Mato ou Voltar para Família das Sapotaceas

 

.