Forma de copa

Forma de copa: Semiglobosa

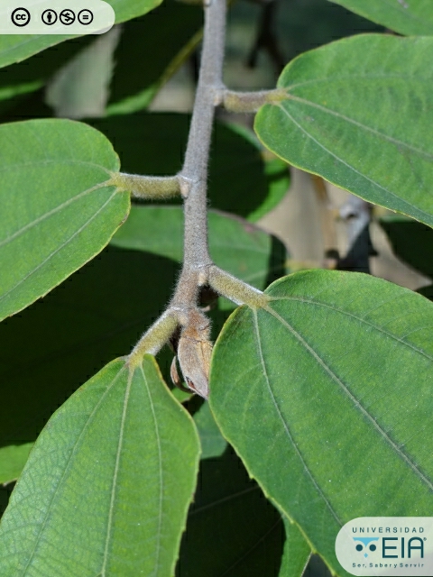
Hoja

Composición de las hojas: Simple

Posicion de las hojas en el tallo: Alterna

Corteza

Corteza

Flor

Disposición de las flores: Panícula

Color de la flor: Blanco

Fruto

Tipo de fruto: Cápsula

Foto adicional

Envés de hoja

Foto adicional

Base hojas

Características
Familia Malvaceae
Nombre científico Luehea seemannii
Autor Triana & Planch
Etimología Luehea, en honor al botánico alemán Karl von der Lühe, creador de la obra Hymnus an Flora und Ceres; seemanni, epíteto en honor al botánico y recolector de plantas alemán Berthold Carl Seemann
Sinónimo -
Nombre común Guácimo colorado
Origen Nativa
Continente Centro América, Sur América
Distribución geográfica Desde México hasta Venezuela
Altura máxima (m) 35
Diámetro (cm) 150
Amplitud de copa Amplia (mayor que 14 m)
Densidad de follaje Alta
Modelo arquitectónico No determinado
Sistema radicular No determinado
Atributos foliares Hojas coriáceas, verdes en la haz y marrón castaño en el envés, miden entre 5 y 30 cm de largo por 3 y 15 cm de ancho, borde dentado y con estípulas
Persistencia hoja Caducifolia
Atributos florales Miden entre 2 y 3 cm, aromáticas
Estación de floración Estacional
Sistema de polinización Insectos
Limitaciones flores Ninguna
Limitaciones frutos en espacios públicos Ninguna
Sistema de dispersión Anemocoria (viento)
Atracción fauna -
Densidad madera (g/cm³) No determinado
Tasa de crecimiento Rápida
Longevidad Alta (> 60 años)
Zonas de humedad Húmeda, Muy húmeda
Rango altitudinal 0 - 1000 msnm
Requerimiento de luminosidad Alta
Tipo de suelo Suelos secos o suelos húmedos
Uso Su madera es blanda y liviana, usada para elaborar cajones, tableros, aglomerados y para la fabricación de pulpa de papel. Su madera sierva como leña.
Función Ornamental, Recuperación de suelos y/o áreas degradadas, Restauración ecológica
Usos en espacio público Parques, Separador autopistas, Separador arterias principales, Andenes vías de servicio, Orejas de puente, Edificios institucionales
Estado de conservación No evaluada
Plagas y enfermedades reportadas -
Observaciones -
Fuentes Mahecha, Ovalle, Camelo, Rozo y Barrero (2012)